조황관리HOME / 조황관리 / 상세정보

제목 : #감성돔출조 사이즈/마릿수 굿굿굿!!!!!
등록일 : 2025-12-17







1619.jpg


1617.jpg


1616.jpg

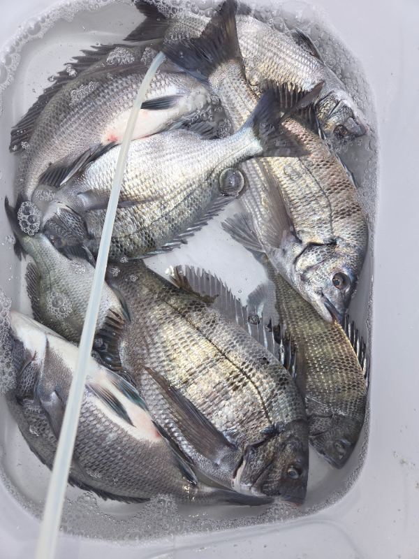
♻️감성돔출조!!!!! 사이즈/마릿수
굿굿굿!!!!! 조사님 두분과 힐링 손맛들 보셨네요ㅡㅎ 
????내일 감성돔출조 예약중 입니다 동출하실 회원조사님 계시면 여수로 얼릉 오이다ㅡㅎ 
(내일 소수 인원도 무조건출조)
????알쭈미출조(조금물때) 예약중
입니다ㅡ 
감성돔출조(사리물때) 예약중 
????12/25 ~1/1(해돋이 불꽃축제) 알쭈꾸미!!!!! 예약중 입니다 
동출하실 회원조사님 계시면 
환영 합니다 

예약 사이트 클릭 하세요 
블루웨이호는 계절별 선상 전문 생활 낚시배 입니다 
블루웨이호 선장 제부국 감사합니다 
☎️010 8414 8589 부재시010 8415 8589

====== 예약현황및출조안내 ======
 

■ 예약문의 : 010-8414-8589
홈페이지 예약 : http://blueway.sunsang24.com/ 
 

              {선비안내}

※갑오징어ㆍ쭈꾸미ᆞ문어(쿨러에얼음필수)
     평일  8만원
     주말  8만원
     (선입금을 꼭 부탁 드립니다)
     (점심ㆍ음료ㆍ컵라면제공)

※감성돔출조
    1인 12만원 (밑밥미끼ᆞ식사ㆍ음료등등제공)
  ☑독배는 상담을 통해 결정

※출조시간 4시까지 도착 (변동사항있음)
 
※선비입금 수협 공정애앞 0010 8415 8589

※돌문어출조시 쿨러에 얼음필수 입니다

※상세한 정보는 통화로 합니다 

※동출하실 회원님 계시면 연락 주십시요.
  
                     출조문의
            ※ 010 8414 8589
        부재시: 010 8415 8589 

블루웨이호는 출항부터 입항까지 한가족 입니다
블루웨이호는 계절별 선상 전문 생활 낚시배 입니다                    
블루웨이호 선장 제부국 감사합니다

Top