조황관리HOME / 조황관리 / 상세정보

제목 : #여수블루웨이호 왕갑출조 굿굿굿!!!!!
등록일 : 2025-11-30
















485.jpg


487.jpg


483.jpg


481.jpg


482.jpg


479.jpg


476.jpg


473.jpg


474.jpg


471.jpg


470.jpg


469.jpg


459.jpg


461.jpg


450.jpg

♻️여수블루웨이호 최선을 다한
출조에 조상님들 만족도 굿굿굿!!!
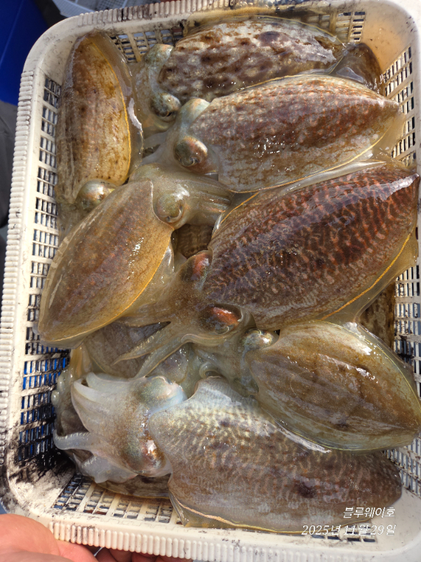
대포알/신발짝급이 팡팡팡!!!!!

✅️늦가을 빅사이즈 갑오징어 시즌 답게 대포알 신발짝급이 우당탕탕!!!!! 팡팡팡!!!!!
동출하실 회원조사님 계시면 여수로 얼릉 오이다ㅡㅎ 

12/3 수 갑이출조 2자리여유

12/4 목 갑이출조 예약중 

12/5 금 갑이출조 예약중 

12/6 토 갑이출조 예약마감

12/7 일 갑이출조 3자리여유 

????오늘은 조금 물때에 바람도
없는 힘든 출조에도 조상님들의 화이팅 넘치는 출조로 모두가 만족한 조과로 입항을 했습니다 

갑이를 찿아 포인트를 많이도 다녔습니다 최선을 다한 출조에 사이즈 마릿수 모두가 굿굿굿!!!!!

빅사이즈에 조상님들의 함성에
즐거운 출조를 마치면서 동출하신 조상님들 모두 수고 많이 하셨습니다. 감사합니다                               ㅡ안전한 귀가길 되십시오ㅡ 

예약 사이트 클릭 하세요 
블루웨이호는 계절별 선상 전문 생활 낚시배 입니다 
블루웨이호 선장 제부국 감사합니다 
☎️010 8414 8589 부재시010 8415 8589

====== 예약현황및출조안내 ======
 

■ 예약문의 : 010-8414-8589
홈페이지 예약 : http://blueway.sunsang24.com/ 
 

              {선비안내}

※갑오징어ㆍ쭈꾸미ᆞ문어(쿨러에얼음필수)
     평일  8만원
     주말  8만원
     (선입금을 꼭 부탁 드립니다)
     (점심ㆍ음료ㆍ컵라면제공)

※감성돔출조
    1인 12만원 (밑밥미끼ᆞ식사ㆍ음료등등제공)
  ☑독배는 상담을 통해 결정

※출조시간 4시까지 도착 (변동사항있음)
 
※선비입금 수협 공정애앞 0010 8415 8589

※돌문어출조시 쿨러에 얼음필수 입니다

※상세한 정보는 통화로 합니다 

※동출하실 회원님 계시면 연락 주십시요.
  
                     출조문의
            ※ 010 8414 8589
        부재시: 010 8415 8589 

블루웨이호는 출항부터 입항까지 한가족 입니다
블루웨이호는 계절별 선상 전문 생활 낚시배 입니다                    
블루웨이호 선장 제부국 감사합니다

Top